

Колорадський жук, здатний дні, а іноді й години, повністю знищити більшу частину врожаю картоплі. І не тільки його. Будучи природним «споживачем» пасльонових культур, це комаха здатна через брак своєї основної мети вражати й інші рослини. Серед них можуть бути: томати, фізаліс, баклажани, перці. Давайте розглянемо найкращі засоби від колорадського жука.
Зміст:
Існує кілька десятків методів боротьби з колорадським жуком, однак, більшість з них досить трудомісткі і малоефективні.


Колорадський жук
Найбільш сумним є той факт, що природний ворог жука, муха-дорифора, так і не змогла покинути межі Колорадо, на відміну від її жертви, чудово приспособившейся до інших кліматичних умов.


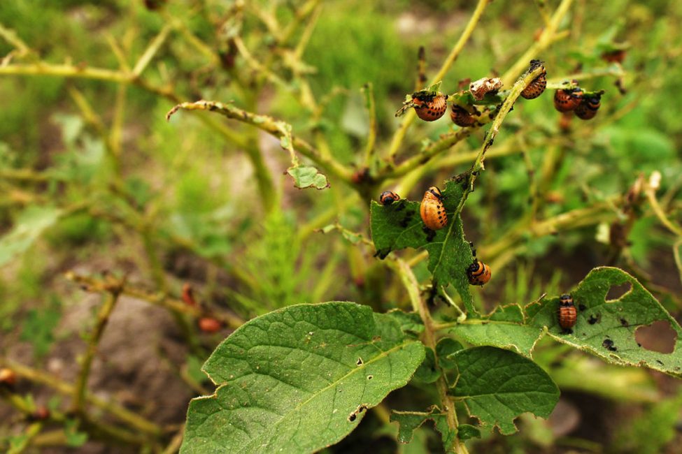
Личинки колорадського жука
Крім того, оскільки жук накопичує в своєму організмі соланін, яким багаті стебла і листя багатьох пасльонових, він стає неїстівним для більшості птахів і плазунів. З усіх птахів, що живуть в помірно-континентальному кліматі вживати жука в їжу можуть хіба що цесарки.
Загальні питання боротьби з колорадським жуком
Таким чином, єдино прийнятний спосіб боротьби з цим комахам – винищення його за допомогою спеціалізованих інсектицидів. Боротьба з цим шкідником повинна враховувати особливості життєвого циклу жуков, саме так буде досягнута максимальна ефективність від всіх коштів, які планується застосувати.
Розглянемо життєвий цикл і особливості розвитку жука більш докладно:
Жуки зимують на глибинах від 30 до 50 см. Ті з них, які не замерзли взимку, виходять на поверхню, починають харчуватися молодими пагонами (не обов’язково пасльоновими) і спаровуватися. Причому, якщо самка жука спарилася восени, то навесні, виходячи зі сну, вона відразу ж відкладає яйця.
Жуки виходять з своїх зимових укриттів, коли заморозків вже не передбачається. Зазвичай, це відбувається, коли температура повітря стабілізується в районі +12-15°С і серйозних опадів не передбачається. Пік такого результату припадає на останню декаду квітня – першу декаду травня.


Яйця колорадського жука
Протягом одного дня самка жука здатна відкласти кілька десятків яєць; протягом всього терміну життя самки кількість яєць може досягати близько тисячі (за деякими даними – семисот).
Таким чином, поголів’я всього лише однієї самки здатне перетворитися на вогнище поширення жуків регіонального масштабу. У північних районах жуки рідко переживають одне покоління, однак, на півдні (Кубань, Ростовська та Астраханська області, Казахстан, Україна, Молдова), поколінь колорадських жуків може бути два або три, в залежності від температури і тривалості теплого сезону. Це означає, що фактично профілактичні заходи щодо боротьби з жуком повинні починатися вже на цьому етапі.
Личинки виходять з яєць вже на 5 день, при неприємних погодних умовах – на 15. Для того, щоб успішно боротися з шкідниками на даному етапі, потрібно не допустити появи великої кількості личинок і знищити максимальну кількість комах до того, як вони відкладуть яйця.


Випадок, коли вжиті заходи виявилися марними або несвоєчасними
Личинки будуть набирати масу близько трьох тижнів, потім вони зариваються в землю і перетворюються в лялечок. Лялечки або встигають перетворитися на дорослих комах і вийти назовні під кінець літа, або так і зимують до наступного року, а потім перетворюються в дорослі особини наступної весни. Дорослі жуки в пошуках нових місць годування або ж мета зимівлі здатні здійснювати перельоти до 10 км в день.


Вони ще й можуть літати!
Життєвий цикл колорадського жука становить кілька місяців, однак, у цих комах є унікальна здатність входити у стан діапаузи – багатомісячної сплячки, яка може доходити до 3-4 років. Саме тому жуки стають здатні виробляти потомство відразу в середині весни (з дорослих запліднених перезимували самок), і це є причиною неможливості їх тотальної ліквідації. Ну, у всякому разі, поки що не є…
Сучасні засоби проти жуків, створені хімічною промисловістю є досить ефективними і стан питання зараз значно краще, ніж 20-30 років тому. Цілком можливо, що незабаром з’явиться універсальна методика за повного знищення колорадського жука.
Кошти. Класифікація
Спеціалізовані інсектициди проти цього виду комах можуть бути класифіковані за кількома параметрами. У загальному випадку, засобу від колорадського жука бувають наступних класів:
Останні, універсальні засоби, що є більш хімічно активними і володіють сильним впливом, як на жуків, так і на рослини (а при недотриманні норм безпеки – і на людей). Природно, не всі, але багато хто засоби цієї групи, фітотоксичні, тобто негативно впливають на ріст картоплі і дозрівання його бульб.


Картоплю перед садінням
Якщо існує така неприємна можливість, рекомендується ні в якому разі не обробляти подібними засобами картопля, призначений для посадки на наступний рік. В кращому випадку після такої обробки він дасть дуже слабкі сходи і потомство, в гіршому – не зійде взагалі.
За способами впливу


Посадка картоплі
У свою чергу, за способами використання, засоби проти колорадського жука ділять на наступні групи:
- препарати-протрави, створені для протруювання» бульб (під цим терміном мається на увазі спеціальна передпосадкова обробка бульб);
- препарати для обприскування; застосовуються для нанесення на листя або стебла за допомогою обприскувачів.
Основна класифікація, яка використовується в даний час, поділяє ці засоби за способами впливу на шкідників.
Вони бувають:
За активної речовини


Полювання на шкідників
Жук здатний до швидкої адаптації до того або іншого засобу, тому, щоб не вийшло вивести комах, резистентних до того чи іншого інсектицидів, або відразу декільком з них, рекомендується час від часу міняти застосовувані засоби для захисту картоплі та інших овочів. Для цього потрібно вибирати не просто різні найменування засобів, але і стежити за тим, щоб у них були різні активні компоненти.
Основними діючими речовинами проти колорадських жуків є:
- Авермектины. Є продуктом життєдіяльності грибів-стрептомицетамов. Можуть також бути отримані промисловим способом. Найбільш часто до складу інсектицид проти жука входить така модифікація, як авертин-Н або аверсектін-С. Перший добре впливає на личинок і дорослих особин, другий – на всі форми жука, включаючи яйця і лялечки. Слід, однак, пам’ятати, що і кишкові та контактні препарати на основі авермектинов є малонебезпечних для людини, однак, можуть бути отруйні для інших комах, наприклад, бджіл. Тому застосовувати такі препарати в близькості від пасік рекомендується з обережністю.
- Піретрини. Це речовини, які містяться в клітинах рослин родини Айстрові. Також можуть бути синтезовані штучно. Кошти на їх основі блокують нервову систему жуков, викликаючи їх загибель. Також, як і попередня група, вони малотоксичні для людей, але отруйні для риб і бджіл. Крім того, при високих температурах (вище +25°С) їх дія істотно слабшає аж до повної його відсутності.
- Фосфорні сполуки. Засоби проти комах, що належать до третього класу небезпеки. При тривалому малоконцентрированном впливі у жуків взагалі може виробитися імунітет на препарати цієї групи.
- Неонікотіноіди. Ці речовини використовуються для створення системних засобів проти колорадських жуків.
Як застосовують інсектициди
Малотоксичность будь-якого засобу від комах не означає, що його можна застосовувати, не побоюючись за своє здоров’я. Це означає, що придбання і використання таких препаратів вимагає додержання певних заходів обережності.


Обприскування картоплі
Розглянемо їх:
- необхідно купувати тільки препарати, що пройшли сертифікацію і відповідають стандартам
- заборонено використовувати засоби по боротьбі з комахами, що мають минулий термін придатності
- недоступність при зберіганні для дітей або домашніх тварин
- умови зберігання препаратів повинні відповідати їх інструкції; як правило, це сухе, темне і прохолодне місце
- розчинення отрути у воді або інших розчинниках) проводиться в точності по інструкції і в дозах, зазначених там же;передозування препарату може бути дуже небезпечною як для людей, так і для навколишнього середовища
- кожен препарат сумісний (або не сумісний) з якими-небудь іншими препаратами; ця інформація обов’язково вказується в інструкції; застосування несумісних препаратів в одному і тому ж місці в один і той же час заборонено
- слід готувати розчини для обприскування виключно перед їх застосуванням (найраніше – за дві години до обприскування)
- краще всього проводити обприскування картоплі в ранковий або вечірній час в суху погоду
- особа, що займаються обприскуванням, має бути одягнена в спеціалізовану одяг – костюм, що захищає шкіру від можливого попадання на них препарату; застосування таких засобів захисту, як окуляри, респіратор і рукавички є обов’язковим
- під час обприскування заборонено їсти, пити, курити; розмовляти також не бажано
- якщо інсектицид потрапив на шкіру, його рекомендується змити великою кількістю проточної води
- залишки розчину не можна зливати в каналізацію; їх необхідно залити в вириту ямку в землі десь на пустирі, потім цю ямку потрібно закопати
- після закінчення обприскування необхідно вимити обприскувач, робочий одяг ретельно випрати, а самому працівнику прийняти душ, помившись господарським милом
- кожен інсектицид діє певний час; повторна обробка до цього терміну не допускається; час зазначено в інструкції.
Популярні засоби від шкідника
Препарати, які використовуються для протруювання
Засоби цього типу здатні проводити захист молодої картоплі лише протягом якогось певного часу. Після того, як цей час підійде до кінця, відбувається хімічне розкладання інсектициду. Щоб жуки по закінченні цього періоду не змогли пошкодити рослини, необхідно обробити ділянку ще раз, але застосувавши при цьому будь-який інший засіб.


Засіб «Престиж»
«Престиж»
Є препаратом системного принципу роботи. Виробник – німецький хімічний концерн «Байєр». До складу препарату входять наступні активні речовини:
- имидиаклоприд; засіб від комах, розроблена більше десяти років тому і мають прекрасну характеристику: захист бульб, оброблених ним, зберігає свою ефективність протягом півтора місяців; крім колорадського жука бульби будуть захищені від цикад, попелиці, кліщів; а грунтові паразити (капустянки, хрущі, дротянки і совки) будуть обходити ділянку стороною;
- пенцикурон; засіб проти грибкових інфекцій; час захисту картоплі від різних форм грибка становить близько 40 днів; у першу чергу до цих хвороб відносять фітофтороз і ризоктороз;
Засіб належить до третього класу небезпеки. Робоча концентрація для застосування цього засобу становить 1 до 20. Норми витрати такі: на 1 кг картоплі витрачається 1 мл препарату. Здійснюється передпосадкова обробка: бульби вкладаються в один шар на брезенті або грунті і проводиться їх обприскування розчином, приготованим раніше. Розчин має рожевий колір, тому одразу помітно, наскільки добре бульби будуть покриті. При висиханні розчину, на бульбах утворюється тонкий шар плівки.
Після висихання розчину бульби слід перевернути, щоб обприскати їх нижню частину. Потім їх знову слід підсушити, а потім приступити до посадки. Це є обов’язковою: здійснити посадку, щоб висохли обидві сторони картоплі, інакше ефективність засобу помітно знизиться. Також рекомендується обробляти картоплю поруч з місцем посадки, щоб під час його транспортування не здерти плівку інсектициду з тіла бульби.
Оскільки засіб потрапляє в стебло і листя рослини, жуки, починаючи харчуватися ними, відразу ж гинуть, при цьому, навіть не встигнувши відкласти яйця. В бульби, які формуються на кущі заново, і які потім будуть зніматися в якості врожаю, засіб не проникає. Додатковою функцією препарату виступає стимуляція росту куща картоплі та антистресову дію, оскільки оброблені їм примірники набагато легше переносять зменшення температури і відсутність води. Коли закінчується термін його дії, засіб повністю розкладається на безпечні компоненти.


«Табу»
«Табу»
Також системне засіб проти комах, в основі якого лежить той же препарат, имидиаклоприд. Аналогічно до попереднього препарату, справляє комплексну захист рослини не тільки від колорадського жука, але і від дротяників і від інших паразитів. Засіб «Табу» може застосовуватися спільно з фунгіцидами.
Розчин робиться наступним чином: у літрі води необхідно розчинити 8 мл засобу. Цього буде цілком достатньо для протруєння близько центнер картопляних бульб. До складу цього препарату входять липкі поверхнево-активні речовини, здатні створювати тонку і міцну плівку на його поверхні, утримуючу інсектицид навколо бульби. Плівка досить міцна, що дозволяє провести травлення бульб далеко від місця висадки; під час транспортування захист з бульб не осиплеться.
Для кращої видимості протруєним шару, він має рожевий колір. Оскільки при перевертанні пророслої картоплі можливе травмування паростків, «Табу» може застосовуватися для обробки бульб безпосередньо в посадочних лунках. На обприскування 100 кв. м площі необхідно розвести в 10 л води 4 мл препарату. При цьому, розчин необхідно зробити однорідним; домогтися цього можна наступним чином: на початку засіб розчиняється в склянці теплої води, а потім отриманий склянку висококонцентрованих кошти виливається в 10 літрову ємність.
Бульби розміщуються у комірках, а потім їх обприскують з середнім витратою близько 30 мл засобу на один бульба. Отрута просочує пагони і листя рослини, проте в бульби не потрапляє. Термін дії препарату 1.5 місяці, що з урахуванням життєвого циклу колорадського жука, не дає останньому встигнути відкласти яйця.
Засоби для обприскування кущів


Засіб «Актара»
«Актара»
Також системне засіб, але засноване на препараті тіаметоксам. Має здатність практично миттєво вбирається в листя і стебла картопляних кущів, перетворюючи їх у отрута не тільки для жуків, але й для практично всіх лускокрилих. Дія препарату базується на блокуванні роботи нервової системи комах, їх загибель настає приблизно через добу після його вживання; при цьому протягом цих доби комахи не можуть їсти.


Засіб «КОРАДО»
«Корадо»
Засіб на основі имидиаклоприда. Володіє системною дією. Приблизно через 60-80 хвилин після того, як потрапляє в організм комахи, робить неможливим його харчування. Загибель настає приблизно через 2-3 дні. Препарат недостатньо вологостійкий, тому рекомендується застосовувати його при відсутності вітру і опадів ввечері або вранці. В крайньому випадку допускається застосування препарату перед поливом (або дощем), але не пізніше, ніж за 4 години до нього.
Засіб упаковано в ампули об’ємом 1 і 5 мл або у флакони по 10 мл Витрата кошти на 100 кв. м становить 1 мл на 10 л води. Час дії засобу – близько 30 днів. Цим інсектицидом допускається обробляти картоплю тільки один раз за сезон.


«Кілер»
«Кілер»
Контактно-кишковий препарат, на основі сполук хлорпирифиса і циперметрина. Вбиває майже всіх шкідників картоплі, стійких до фосфороограническим з’єднанням. Рекомендується застосовувати суху безвітряну погоду при температурі не вище +22°С. Витрата препарату близько 100 мл на 100 кв. м. Даний обсяг розчиняють у 10 л води. Період активності препарату – 3 тижні. Також, як і іншими інсектицидами допускається обробка їм картоплі тільки один раз за сезон. Причому, ця обробка не повинна проходити пізніше, ніж за місяць до збору врожаю.


Пам’ятник жука. Від «вдячних» фермерів Угорщини в честь 50 років його появи в країні
КАРТОПЛЯ. ЧОМУ ЗНОВУ З’ЯВИВСЯ КОЛОРАДСЬКИЙ ЖУК?
ТОП-5 Засобів від колорадського жука. Опис життєдіяльності шкідника, класифікація засобів проти нього (Фото & Відео) +Відгуки
